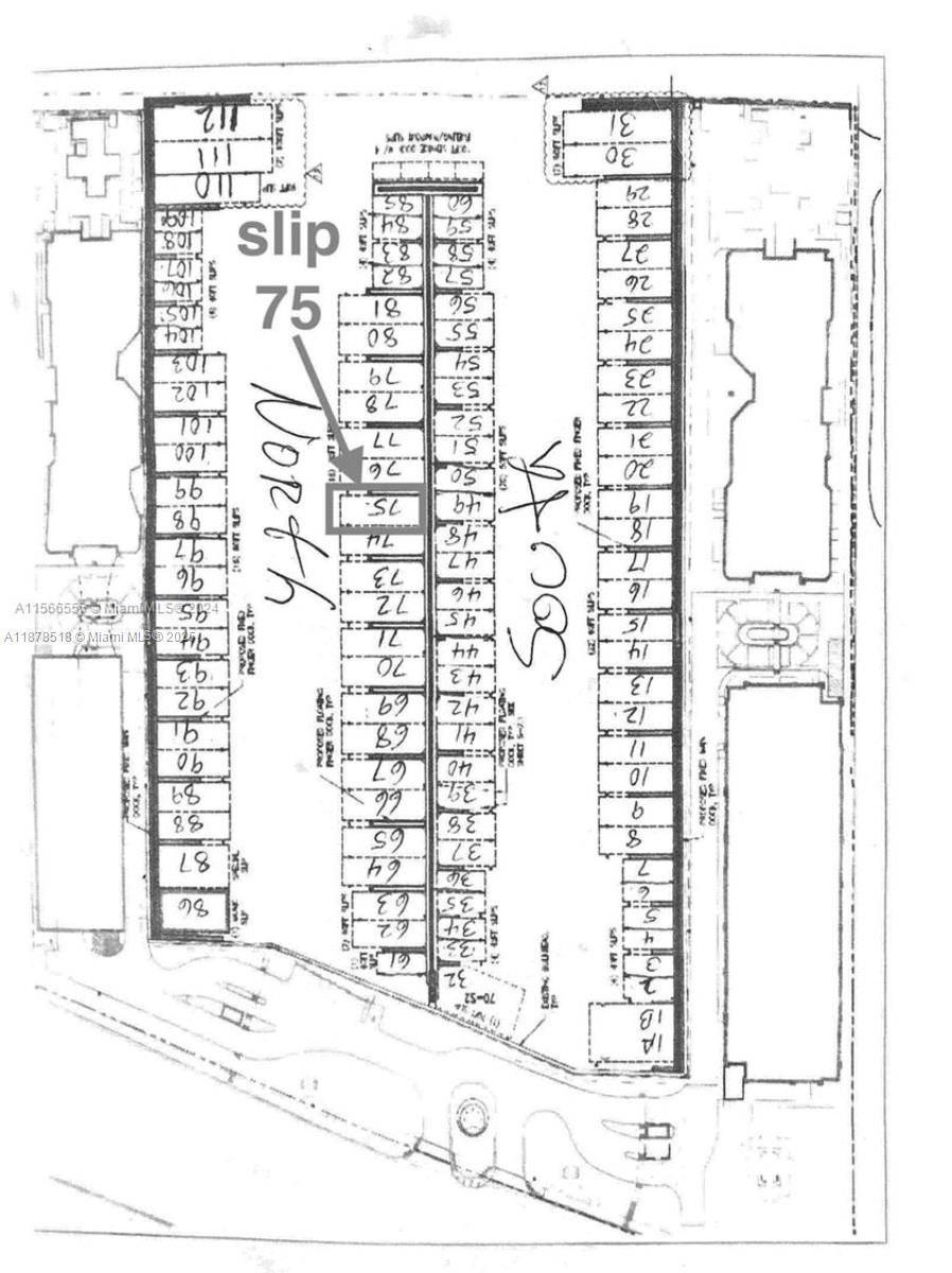
Maule Fed Hwy Industrial Boat Dock For Sale
17211 Biscayne Blvd Slip 75, North Miami Beach, FL 33160

$295,000
Продано
Людмила Богатов
Людмила Богатов
Брокер по недвижимости

Детали


  • МЛС номер:A11878518
  • Виртуальный тур: Да
  • Цена предложения: $350,000
  • Цена продажи: $295,000
  • Дата публикации:September 18, 2025
  • Дата продажи: March 9, 2026
  • Дней на рынке:171

Описание


Slip in Marina Palms Marina. Slip #75 is a 70ft slip which fits up to a 80ft boat. Premier marina with floating dock offering state of the art facilities including marina staff and dockmaster, dockside high speed internet, fueling services, market and more. Just a few minutes to Haulover inlet and ocean. This slip is restricted and can sell only to marina palms owners. Highly qualified bi-lingual marina staff Full-service Concierge Limited transient dockage Easy access fueling services—gas and diesel Dockside high-speed Internet Picturesque marina promenade Marina Mart convenience store open 8 am to 5 pm, 7 days a week offering boating apparel, food and snacks, beer and wine, cleaning and boating supplies.

Расположение


Запросить информацию
Людмила Богатов
Людмила Богатов
Брокер по недвижимости

Другие участки и земля в Норт Майами Бич


17211 Biscayne Blvd - Slip 078
North Miami Beach, FL 33160
$350,000
16400 Collins Ave
Sunny Isles Beach, FL 33160
$250,000
16400 Collins Ave
Sunny Isles Beach, FL 33160
$1,300
17301 Biscayne Blvd#48
North Miami Beach, FL 33160
$199,000